9 Country Acres , Rural Ponoka County, Alberta T0C 2J0 For sale

$200,000

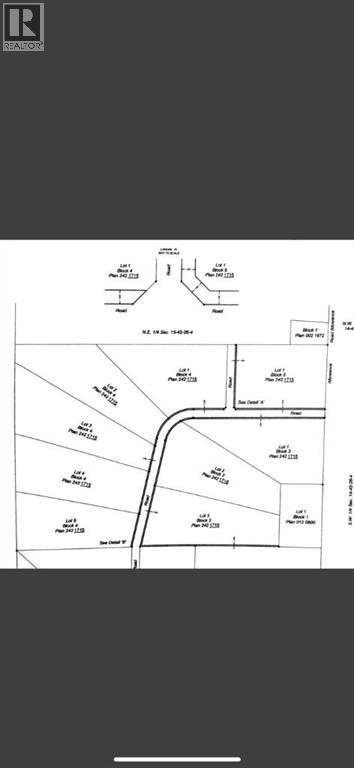
About 9 Country Acres

Welcome to Ponoka County's newest acreage subdivision featuring 8.6-10 acre lots zoned Country Residential. This is a premier location to design and build your dream home within a few minutes of the Town of Ponoka! Country Acres is a 9 parcel subdivision with some of the lots being treed and lots that will accommodate walk out basements. A beautiful setting with views of the countryside landscapes situated on high ground, lots of sun exposure and you can enjoy the gorgeous evening sunsets to the west! Close proximity to the Wolf Creek Golf Resort, QE2 and Highway 2A which is great for access to the highways. It is pavement right up to the Range Road 26-2 entering into Country Acres. These lots are ready for construction - start making your plans and get ready to enjoy country living within a few minutes to Town! GST is applicable on purchase price. (id:51989)

Features of 9 Country Acres

  • MLS® Number A2163837
  • Price $200,000
  • Plan 2421715

Buildings

Age Age Is Unknown Utility Water None

Land

Acreage Yes Fence Type Not Fenced
Sewer No Sewage System Size Irregular 10.01
Size Total 10.01 Ac|10 - 49 Acres Size Total Text 10.01 Ac|10 - 49 Acres
Zoning Description Crh

Agents and Offices

  • Lori Hellofs
  • Brad Hellofs
  • Office: RE/MAX Real Estate Central Alberta
  • Aerial
  • Walking Score
What's Nearby

Do you have questions?

Call or text today, we are here to help!

1-403-561-3456