47436 Rge Road 15 , Rural Leduc County, Alberta T0C 2P0 For sale

$299,800

Year Built 2023
Type No Building

About 47436 Rge Road 15

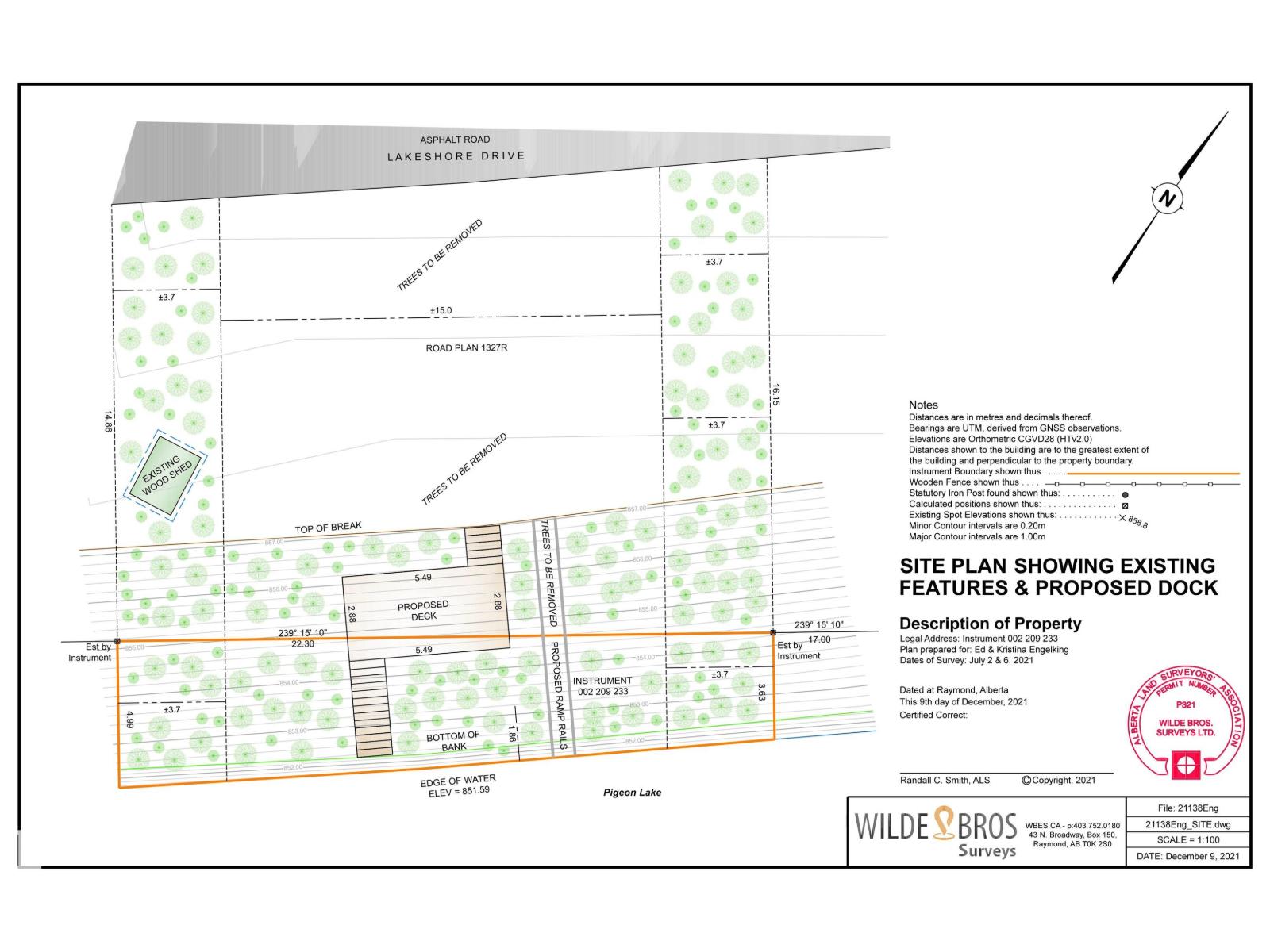
LAKE FRONT LOT AT MISSION BEACH. Incredible views of Pigeon Lake! Huge undeveloped south facing lot with 73ft of registered lakefront access. Last lot in a 3 lot subdivision. Electricity and gas service to the property line. Lot area (excluding lakefront area) is 12526 sqft. Trapezoidal shape with 95' frontage and 152' depth. Located in a “no exit” area of Mission beach, there is little to no traffic. Trees have been cleared on lot as well as shoreline section, is ready for construction, and has amazing views in every season. This property is an excellent place for your extended holiday at the lake and has room for additional parking at the front and/or the rear for trailers, boats, RVs. Rundles Mission is within walking distance and has accommodations for extended family. Utilities are to property line and can be located where you desire depending on your development plans. The shoreline area is privately owned(not by the county) and is for your private use exclusively. (id:51989)

Features of 47436 Rge Road 15

  • MLS® Number E4476529
  • Price $299,800
  • Property Type: No Building
  • Neigbourhood: Mission Beach
  • Community Features Lake Privileges
  • Features Private Setting
  • View Type Lake View
  • Water Front Type Waterfront

Buildings

Constructed Date 2023 Type No Building

Land

Acreage No Fronts On Waterfront
Size Irregular 0.275 Size Total 0.275 Ac
Size Total Text 0.275 Ac Surface Water Lake

Agents and Offices

  • Dale B. Throndson
  • Office: RE/MAX Elite
  • Aerial
  • Walking Score
What's Nearby

Do you have questions?

Call or text today, we are here to help!

1-403-561-3456