4418 71 Street , Camrose, Alberta T4V 2P7 For sale

$157,100

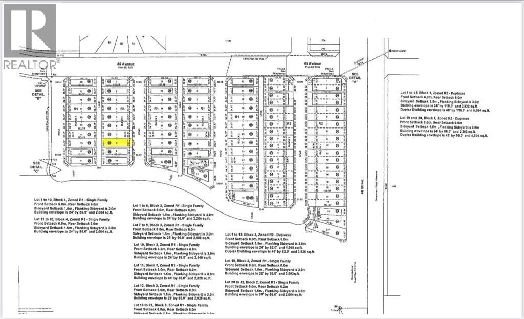
About 4418 71 Street

Welcome to West Park's newest development....Lakeside!!! This development is situated close to shopping and dining. You can access the walking path along the lake and build your own home! Don't miss out on an amazing opportunity in 2026. (id:51989)

Features of 4418 71 Street

  • MLS® Number A2017277
  • Price $157,100
  • Community Name: West Park
  • Amenities Near By Shopping
  • Plan 2521037
  • Structure None

Buildings

Age Age Is Unknown

Land

Acreage No Fence Type Not Fenced
Land Amenities Shopping Size Depth 37.49 M
Size Frontage 10.67 M Size Irregular 4305.00
Size Total 4305 Sqft|4,051 - 7,250 Sqft Size Total Text 4305 Sqft|4,051 - 7,250 Sqft
Zoning Description R1

Agents and Offices

  • Tracy Brandingen
  • Office: RE/MAX Real Estate (Edmonton) Ltd.
  • Aerial
  • Walking Score
What's Nearby

Do you have questions?

Call or text today, we are here to help!

1-403-561-3456